炸金花app

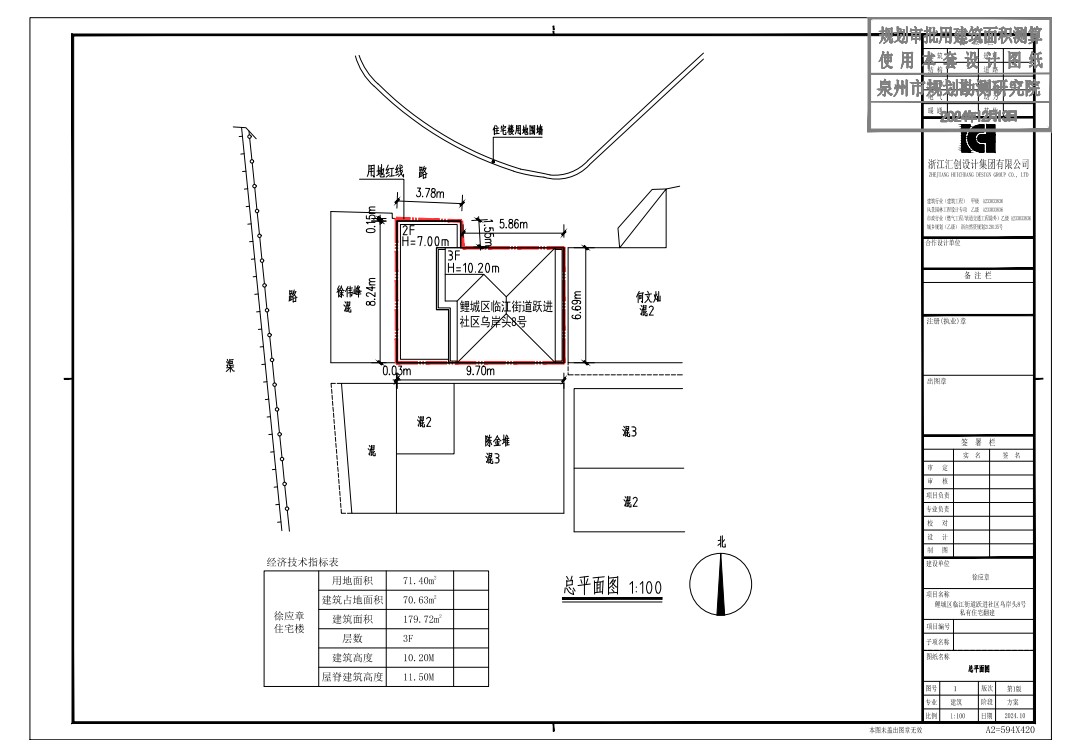
[规划许可]炸金花app区临江街道跃进社区乌岸头8号私有住房翻建项目《建设工程规划许可证》批前公示
发布时间: 2025-01-22 17:09:00